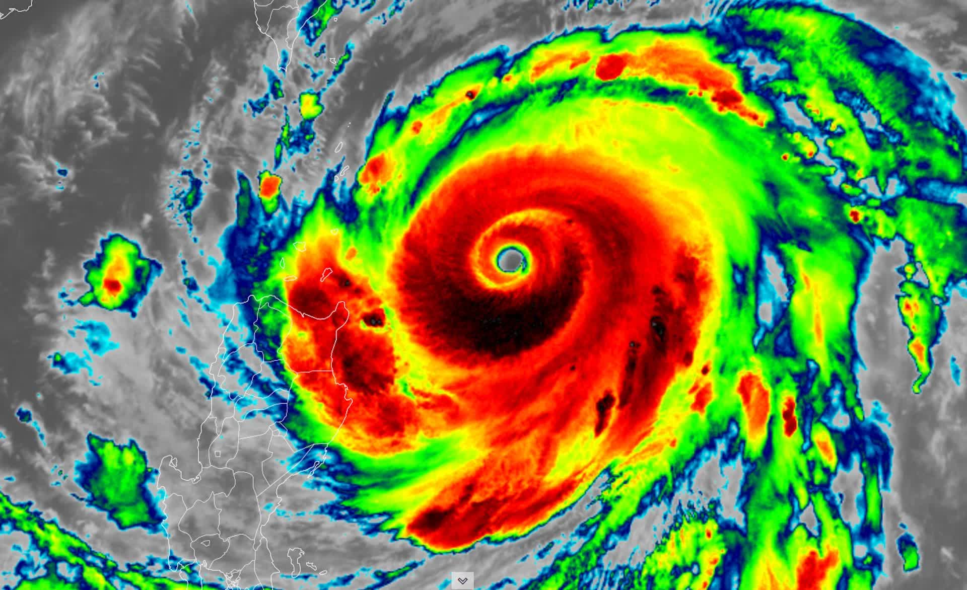
Với sức gió duy trì lên tới 270 km/h trong thời gian ngắn, Ragasa - hiện nằm ở phía đông bắc Manila, Philippines - trở thành cơn bão mạnh nhất trên Trái Đất năm 2025 cho đến nay.
Hình ảnh vệ tinh cho thấy một mắt bão rõ ràng, nhỏ gọn với các dải bão đối xứng cao, dấu hiệu rõ ràng cho thấy đây là một cơn bão cực kỳ lớn và đã trưởng thành.

Ảnh vệ tinh mắt bão
Sự phát triển khủng khiếp của bão Ragasa có thể được giải thích bằng ba yếu tố khí tượng quan trọng. Thứ nhất, cơn bão gặp phải sức gió cắt thấp một cách đáng ngạc nhiên. Sức gió cắt là sự thay đổi của tốc độ và hướng gió theo độ cao, có thể phá vỡ cấu trúc và làm suy yếu lõi của cơn bão. Vì sức gió cắt gần như không có, Ragasa có thể duy trì sự đối xứng và cấu trúc thẳng đứng, tạo điều kiện thuận lợi cho nó mạnh lên.
Thứ hai, nhiệt độ bề mặt biển cực kỳ ấm, gần 30°C, cung cấp một lượng lớn năng lượng và hơi ẩm. Nước ấm là "nhiên liệu" chính cho các cơn bão, cho phép chúng tăng cường độ một cách nhanh chóng.
Cuối cùng, cơn bão có dòng chảy ra mạnh theo mọi hướng, tạo nên sự đối xứng. Dòng chảy ra mạnh ở tầng trên khí quyển giúp loại bỏ không khí từ lõi của bão, làm giảm áp suất và cho phép luồng không khí ấm, ẩm từ tầng thấp hơn dâng lên dễ dàng hơn, từ đó tăng cường quá trình đối lưu và bão mạnh lên. Sự kết hợp hoàn hảo của ba yếu tố này đã biến Ragasa thành một cơn bão có sức tàn phá khủng khiếp.
Philippines hiện đang hứng chịu nặng nề những ảnh hưởng của bão và đưa ra nhiều cảnh báo ở mức cao nhất.


Bão đã đổ bộ Philippines
Ngày 21/9, tại Đài Loan (Trung Quốc), Cục Khí tượng Trung ương (CWA) cho biết cơn bão duy trì sức gió gần tâm bão đạt tới 190,8 km/giờ và bán kính bão là 300 km, khiến nó trở thành cơn bão mạnh nhất năm 2025 ảnh hưởng đến Đài Loan cho đến nay và do cấu trúc của cơn bão vẫn vững chắc nên nó có thể mạnh thêm nữa.
Theo CWA, cơn bão có sức gió mạnh nhất duy trì là 191 km/h và tốc độ giật lên tới 234 km/h.
Tại buổi họp báo, chuyên gia cấp cao của CWA Wu Wan-hua cho biết sức gió của bão Ragasa có thể tăng lên tới 208,8 km/giờ ở đây và bán kính bão có thể mở rộng.
CWA cũng đưa tin rằng một cơn bão khác, Neoguri, đang hoạt động ở tây bắc Thái Bình Dương vào sáng Chủ Nhật (21/9), nằm cách Đài Bắc khoảng 3.110 km về phía đông bắc và ở phía đông Nhật Bản.
Bão Neoguri đang di chuyển theo hướng tây bắc lên phía bắc, mang theo sức gió duy trì ở mức 184 km/giờ và giật lên tới 227 km/giờ.
Nguồn: The Weather Network, CNA













