Chi tiết nhân sự Thường trực Tỉnh ủy Khánh Hòa nhiệm kỳ 2025–2030
Tại Đại hội Đảng bộ tỉnh Khánh Hòa lần thứ I đã công bố các quyết định của Bộ Chính trị chỉ định Ban Chấp hành, Ban Thường vụ, Bí thư, Phó Bí thư Tỉnh ủy Khánh Hòa nhiệm kỳ 2025-2030. Ông Nghiêm Xuân Thành được chỉ định giữ chức Bí thư Tỉnh ủy Khánh Hòa nhiệm kỳ 2025-2030.
Thủ tướng Phạm Minh Chính yêu cầu thực hiện các giải pháp để tăng nguồn cung, giảm chi phí, phấn đấu để giá nhà thương mại hợp lý, phù hợp với nền kinh tế, phù hợp thu nhập trung bình của người dân.
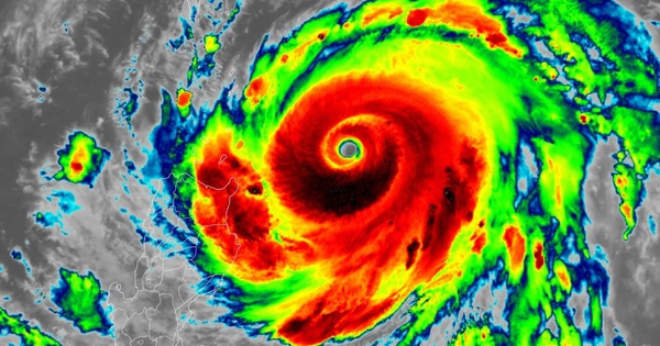
22h ngày 22/9, siêu bão Ragasa vào Biển Đông, sức gió mạnh nhất 221 km/h, cấp 17, giật trên cấp 17, trở thành cơn bão thứ 9 hoạt động trên khu vực trong năm nay.
Hòn Gió (người dân địa phương còn gọi là Hòn Gió Lớn, Hòn Chim) nằm cách điểm đất liền gần nhất là 9 hải lý (gần 17 km) theo đường chim bay. Đây là điểm A12, đường cơ sở tính chiều rộng lãnh hải Việt Nam trên Vịnh Bắc bộ.
Khi Tổng Bí thư Tô Lâm nhấn mạnh nước ta hiện có 3 điểm nghẽn lớn nhất là thể chế, hạ tầng và nhân lực, trong đó thể chế là "điểm nghẽn của điểm nghẽn", cả hệ thống chính trị cùng các chuyên gia đang vào cuộc để tháo gỡ. Nhưng muốn tháo gỡ bắt đầu từ đâu thì phải biết điểm nghẽn của điểm nghẽn đó đang nằm ở đâu.
Sau khi đi vào Biển Đông, siêu bão Ragasa (bão số 9) di chuyển nhanh hơn nhưng chưa có dấu hiệu giảm cấp, khả năng đổ bộ vào đất liền Trung Quốc vào rạng sáng 25.9.
Nhiều tuyến đường miền núi ở Quảng Ngãi liên tiếp xảy ra tình trạng sạt lở, đá tảng rơi tự do từ taluy dương xuống mặt đường, tiềm ẩn nguy cơ tai nạn giao thông và là nỗi ám ảnh của người dân địa phương.
Dưới lòng biển Hội An (TP.Đà Nẵng), hàng chục thợ lặn đang ngày đêm âm thầm 'chống lại' thiên nhiên khắc nghiệt, mang trên mình gần 10 kg chì để đắp xây tuyến đê ngầm, từng bước hồi sinh bãi biển được mệnh danh đẹp nhất châu Á này.
HĐND TP.HCM tổ chức kỳ họp thứ 4 (kỳ họp chuyên đề), xem xét 52 nội dung quan trọng về chính sách, hạ tầng, ngân sách và các dự án phát triển của thành phố.
Theo thông tin mới nhất từ cơ quan khí tượng, 22h ngày 22/9, siêu bão Ragasa đã vào vùng biển phía Đông Bắc của khu vực bắc Biển Đông, trở thành cơn bão số 9 trong năm.
Với quyết tâm chính trị cao, Thành phố Hà Nội đang triển khai đồng bộ, quyết liệt các giải pháp nhằm đưa Nghị quyết số 68-NQ/TW của Bộ Chính trị về phát triển kinh tế tư nhân đi vào cuộc sống, kiến tạo môi trường kinh doanh thực sự bình đẳng, hấp dẫn, tạo động lực đột phá cho khu vực kinh tế quan trọng này phát triển, đóng góp xứng đáng vào sự nghiệp xây dựng Thủ đô văn minh, văn hiến, hiện đại.